Page 74 - 无损检测2023年第十一期
P. 74
王志刚, 等:
高温环境下钛合金拉伸损伤声发射试验
或者断裂, 继而出现瞬态弹性波的现象。声发射技 在常规的高温声发射试验中 [ 14-17 ] , 众多学者采
术是一种成熟的无损检测方法, 被广泛应用于金属 用钢材料波导杆, 这也是基于损伤试验材料为钢的
材料的检测中 [ 2-3 ] 。作为一种动态的检测技术, 能够 考虑。相对于钛合金的声发射试验, 若要选取合适
在被检件正常运转时实施, 常用于构件或材料内部 的波导杆材料必须满足两个条件, 即良好的阻热性
结构缺陷或潜在缺陷动态变化的检测 [ 4-6 ] 。通过该 与良好的信号传递性。为使波导杆与拉伸试件形成
方法不仅可以在裂纹扩展初期发现缺陷, 还可以确 稳定的一体, 考虑到焊接工艺, 将不锈钢和钛合金两
定缺陷的活动性和严重程度 [ 7-8 ] 。因为声发射技术 种材料作为波导杆备选材料。
对环境要求较低, 能够在高低温、 核辐射等严酷环境 有文献显示直径小的波导杆对于信号传递影响
中实施检测, 所以其可以实现高温环境钛合金的动 较小 [ 18-19 ] , 所以将波导杆直径设定为 6mm 。但是
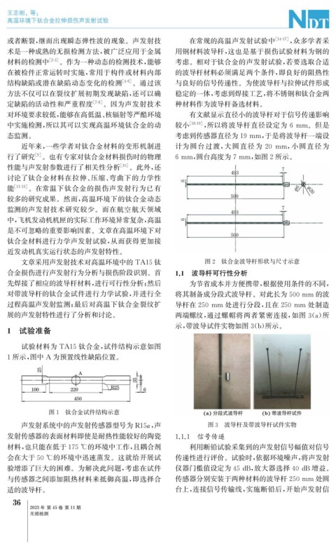
态监测。 考虑到传感器直径为19mm , 于是将波导杆一端设
近年来, 一些学者对钛合金材料的变形机制进 计为圆台过渡, 大圆直径为 20 mm , 小圆直径为
行了研究 [ 9 ] 。也有专家对钛合金材料损伤时的物理 6mm , 圆台高度为7mm , 如图2所示。
性能与声发射参数进行了相关性分析 [ 10 ] 。此外, 还
讨论了钛合金材料在拉伸、 压缩、 弯曲下的力学性
能 [ 11-13 ] 。在常温下钛合金的损伤声发射行为已有
较多的研究成果。然而, 高温环境下的钛合金动态
监测的声发射技术研究较少。而在航空航天领域
中, 飞机发动机机匣的实际工作环境异常复杂, 高温
是不可忽略的重要影响因素。文章在高温环境下对
钛合金材料进行力学声发射试验, 从而获得更加接
近发动机真实运行状态的声发射特性。
文章采用声发射技术对高温环境中的 TA15钛 图2 钛合金波导杆形状与尺寸示意
合金损伤进行声发射行为分析与损伤阶段识别。首 1.1 波导杆可行性分析
先焊接了相应的波导杆材料, 进行可行性分析; 然后 为节省成本并方便携带, 根据使用条件的不同,
对带波导杆的钛合金试件进行力学试验, 并进行全 将其制备成分段式波导杆。对此长为500mm 的波
过程高温声发射监测; 最后对高温下钛合金裂纹扩 导杆在250mm 处进行分段, 且在250mm 处制造
展的声发射特性进行了分析和讨论。 两端螺纹, 通过螺帽将两者紧密连接, 如图 3 ( a ) 所
1 试验准备 示, 带波导试件实物如图3 ( b ) 所示。
试验材料为 TA15钛合金, 试件结构示意如图
1所示, 图中 A 为预置线性缺陷位置。
图1 钛合金试件结构示意
声发射系统中的声发射传感器型号为 R15α , 声 图3 波导杆及带波导杆试件实物
发射传感器的表面材料即使是耐热性能较好的陶瓷 1.1.1 信号传递
材料, 也只能在低于175℃的环境中工作, 且耦合剂 利用断铅试验采集到的声发射信号幅值对信号
会在大于50℃的环境中迅速蒸发。这就给开展试 传递性进行评价。试验时, 依据环境噪声, 将声发射
验增添了巨大的困难。为解决此问题, 考虑在试件 仪器门槛值设定为45dB , 放大器选择40dB 增益。
与传感器之间添加阻热材料来抵御高温, 即选择合 传感器分别安装于两种材料的波导杆250mm 处圆
适的波导杆。 台上, 连接信号传输线, 实施断铅后, 开始声发射信
6
3
2023年 第45卷 第11期
无损检测

